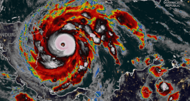
«Iota» toca tierra en Nicaragua con categoría 4

AGENCIAS — El ojo del huracán Iota tocó tierra al sur de la ciudad de Puerto Cabezas, en Nicaragua, confirmó el Centro Nacional de Huracanes de EE.UU.

Iota llegó a ser categoría 5.

Por primera vez en la historia registrada, las islas colombianas de San Andrés y Providencia sufren los efectos de un huracán categoría 5.

La tormenta llevará «vientos catastróficos, marejadas ciclónicas potencialmente mortales y lluvias torrenciales» a Centroamérica, dijo el Centro Nacional de Huracanes.

Iota fue el primer huracán de categoría 5 de esta temporada récord en el Atlántico. Amenaza muchas áreas de Centroamérica que aún se están recuperando de los devastadores efectos del huracán Eta.

Check Also

México y el FBI refuerzan alianza: Resultados clave en Washington

En representación del Gabinete de Seguridad de México, se realizó una reunión estratégica en Washington …